0 White Birch LaneMiddlebury, CT 06762
Due to the health concerns created by Coronavirus we are offering personal 1-1 online video walkthough tours where possible.




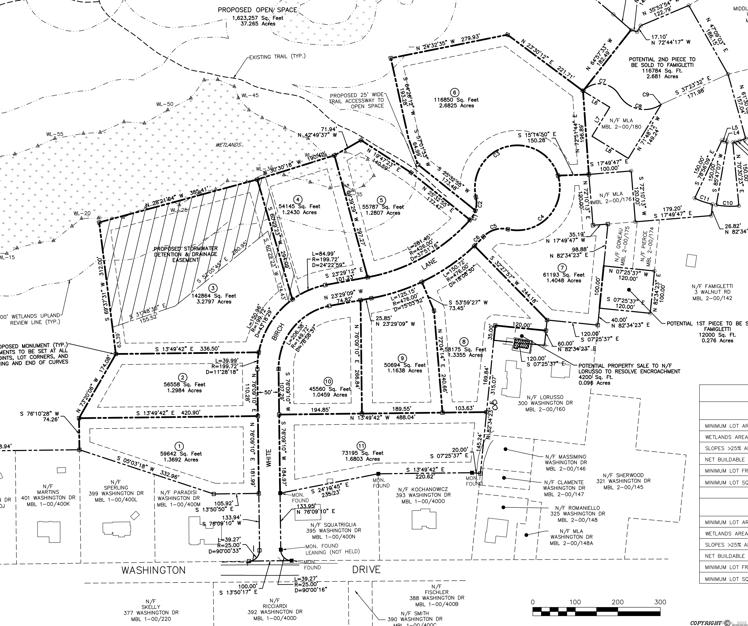
Attention Builders, Developers, and Investors: fully approved 10 LOT Subdivision for sale in the charming town of Middlebury, CT (29 Acres total) With comprehensive approvals in place including Planning & Zoning, Wetlands, and Health Department clearances, you can get straight to work developing your vision. Each lot is designed to feature a private well and connection to public sewer. Middlebury is celebrated for its vibrant community and exceptional quality of life. Residents enjoy access to an array of amenities including top-rated schools and a variety of restaurants ranging from cozy cafes to sophisticated dining experiences. The town also boasts beautiful parks, recreational facilities, and cultural attractions, providing ample opportunities for leisure and engagement. Minutes to I-84, Lake Quassapaug, Quassy Amusment & Waterpark. This subdivision offers developers a rare chance to create a unique residential enclave in a desirable location, blending the tranquility of nature with the conveniences of a thriving community.
| 3 weeks ago | Listing updated with changes from the MLS® | |
| 3 weeks ago | Listing first seen on site |
The data relating to real estate for sale on this website appears in part through the SMARTMLS Internet Data Exchange program, a voluntary cooperative exchange of property listing data between licensed real estate brokerage firms, and is provided by SMARTMLS through a licensing agreement. Listing information is from various brokers who participate in the SMARTMLS IDX program and not all listings may be visible on the site. The property information being provided on or through the website is for the personal, non-commercial use of consumers and such information may not be used for any purpose other than to identify prospective properties consumers may be interested in purchasing. Some properties which appear for sale on the website may no longer be available because they are for instance, under contract, sold or are no longer being offered for sale. Property information displayed is deemed reliable but is not guaranteed. Copyright 2025 SmartMLS, Inc.
Last checked: 2025-12-14 12:53 PM UTC.
Did you know? You can invite friends and family to your search. They can join your search, rate and discuss listings with you.